REQUEST A TOUR If you would like to see this home without being there in person, select the "Virtual Tour" option and your agent will contact you to discuss available opportunities.
In-PersonVirtual Tour

$ 742,500
Est. payment /mo
Under Contract
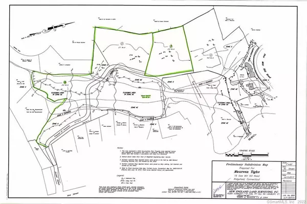
0 Pound Street Ridgefield, CT 06877
11.66 Acres Lot
UPDATED:
Key Details
Property Type Vacant Land
Sub Type Residential Land
Listing Status Under Contract
Purchase Type For Sale
MLS Listing ID 170414109
Annual Tax Amount $20,105
Lot Size 11.659 Acres
Property Sub-Type Residential Land
Property Description
**Rare 11.66-Acre Development Opportunity in Coveted Ridgefield** Discover the potential of this beautiful 11.66-acre parcel nestled in one of Ridgefield's most sought-after locations. This exceptional property offers the perfect mix of tranquility and convenience-just minutes from the vibrant town center with its charming shops, dining, top-rated schools, and recreational attractions. Whether you're a developer, investor, or someone dreaming of a private retreat, this land is a true gem. Zoned for residential use, the property presents flexible options: subdivide into three single-family lots, or explore the possibility of up to six detached homes through a Planned Urban Development (PUD). Imagine creating a peaceful family compound, a thoughtfully designed residential community, or your own private estate surrounded by nature. With its serene setting and prime location, the possibilities are endless. **Property Highlights:** * Expansive 11.66-acre parcel with remarkable potential * Residential zoning with subdivision and PUD options * Ideal for builders, developers, or estate seekers * Peaceful surroundings just moments from Ridgefield's center * Buyer to obtain Board of Health and subdivision approvals Opportunities like this are becoming increasingly rare in Ridgefield. Come explore the possibilities and bring your vision to life on this exceptional piece of land. *Note: This is raw land; developer is responsible for all necessary permits and soil/p
Location
State CT
County Fairfield
Zoning RAA
Exterior
Utilities Available None/Unknown
Waterfront Description Not Applicable
Building
Lot Description Treed
Sewer Septic Required
Water None
Schools
Elementary Schools Scotland
Middle Schools Scotts Ridge
High Schools Ridgefield
Listed by Richard Esman • Douglas Elliman of Connecticut






